Καφέ και μαύρα μικρά έντομα που καταστρέφουν τα φυτά του κήπου σας δημιουργώντας τρύπες στα φύλλα, σημάδια και στίματα; Δείτε πως θα απαλλαγείτε οριστικά και θα σώσετε τα φυτά σας.
Θρίπες, μία μεγάλη κατηγορία εντόμων που προκαλούν σημαντικά προβλήματα στα φυτά την περίοδο της άνοιξης και του καλοκαιριού.

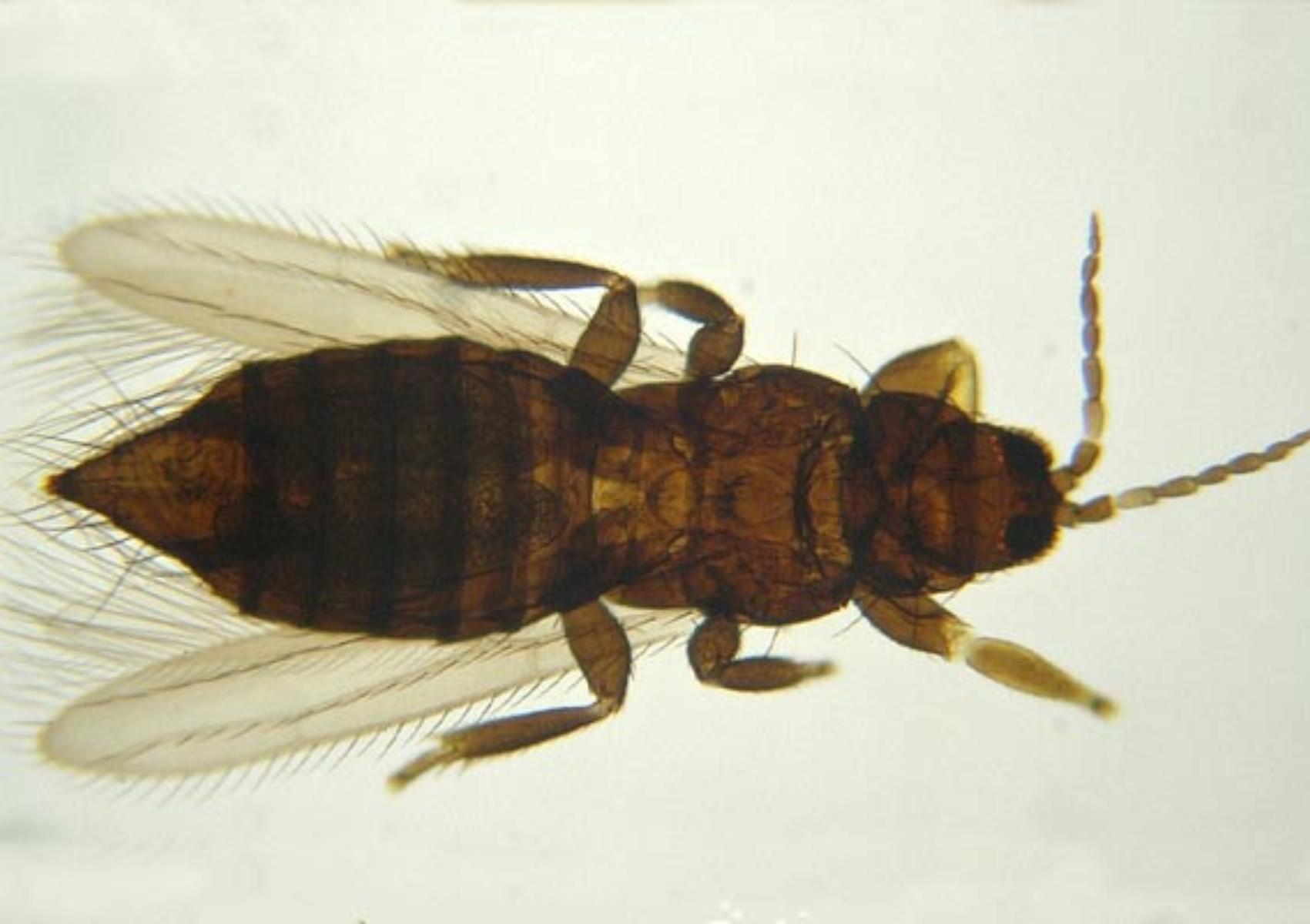
Ο θρίπας είναι ένα μικροσκοπικό έντομο με φτερά, χρώματος καφέ ή γκριζοκίτρινου που δε φαίνεται εύκολα με το μάτι, καθώς έχει μήκος περίπου ενός χιλιοστού.
Έντομα της Άνοιξης στο σπίτι: Δείτε ποια είναι και πως να απαλλαγείτε οριστικά
Υπάρχουν πολλά διαφορετικά είδη θρίπα που συναντάμε σε καλλιέργειες κηπευτικών, σε καλλωπιστικά φυτά και καρποφόρα δέντρα, καθώς επίσης στο αμπέλι και στον καπνό. Οι θρίπες δημιουργούν σημάδια που με φαγώματα ή τσιμπήματα στα φύλλα, τα άνθη και τους καρπούς των φυτών, υποβαθμίζοντας την παραγωγή.
Ας δούμε αναλυτικά τι ζημιές προκαλεί ο θρίπας στον κήπο, πώς μπορούμε να αναγνωρίσουμε έγκαιρα την παρουσία του και με ποιους τρόπους γίνεται η βιολογική καταπολέμησή του για να προστατέψουμε τα φυτά μας.

Τι ζημιά κάνουν οι θρίπες στα φυτά;
Ο θρίπας απομυζά το φύλλωμα σε καλλιέργειες λαχανικών, όπως στην καλλιέργεια της αγγουριάς, στην καλλιέργεια της πιπεριάς, στην καλλιέργεια της φασολιάς και στην καλλιέργεια του βλίτου. Συγκεκριμένα, η προσβολή από θρίπα προκαλεί χαρακτηριστικά ασημί στίγματα στα φύλλα που σταδιακά ενώνονται και φαίνονται σαν ξεθωριασμένες κηλίδες.
Έντομα που καταστρέφουν τα φυτά: Φτιάξετε φυσικό φυτοφάρμακο από ληγμένο γάλα για να τα διώξετε
Σε αρκετές περιπτώσεις, όπως στην καλλιέργεια της λεμονιάς, στην καλλιέργεια της πορτοκαλιάς και στην καλλιέργεια του αβοκάντο, ο θρίπας προσβάλλει και τους καρπούς δημιουργώντας στίγματα, σε σημεία κοντά στον ποδίσκο. Επίσης, επειδή το σάλιο του θρίπα έχει τοξικές ουσίες, σε αρκετές περιπτώσεις παρατηρούμε και χαρακτηριστικές παραμορφώσεις των βλαστών και των λουλουδιών των φυτών, όπως καρούλιασμα, λόγω της προσβολής από θρίπα.
Ποιοι είναι οι τρόποι αντιμετώπισης του θρίπα στον κήπο μας; Η καταπολέμηση του θρίπα είναι αρκετά σύνθετη στις συμβατικές καλλιέργειες, καθώς παρουσιάζει γρήγορα ανθεκτικότητα σε χημικά σκευάσματα.

Για τη βιολογική αντιμετώπιση του θρίπα, απαιτείται συνδυασμός των εξής μεθόδων:
1. Τοποθετούμε μπλε παγίδες με κόλλα
Τοποθετούμε ειδικές χρωμοπαγίδες με κόλλα, μπλε χρώματος, που προμηθευόμαστε από γεωπονικά καταστήματα. Με αυτό τον τρόπο επιτυγχάνουμε μαζική παγίδευση του εντόμου, μειώνοντας τον πληθυσμό του.
Οι παγίδες τοποθετούνται ανάμεσα από τις σειρές σε λαχανικά ή των καρποφόρα δέντρα. Φροντίζουμε να αντικαθιστούμε τις παγίδες όταν γεμίσουν με έντομα ή όταν στεγνώσει και ξεραθεί η κόλλα τους.
2. Ψεκάζουμε τα φυτά με βιολογικά εντομοκτόνα
Για την αντιμετώπιση του θρίπα, ψεκάζουμε το φύλλωμα και τους καρπούς σε λαχανικά και καρποφόρα δέντρα με βιολογικά σκευάσματα αλάτων καλίου ή φυσικής πυρεθρίνης που προμηθευόμαστε από γεωπονικά καταστήματα. Για μεγαλύτερη αποτελεσματικότητα, ο ψεκασμός είναι καλό να επαναληφθεί 7 μέρες μετά το πρώτο ράντισμα.
Ψωκόπτερα: Τα έντομα που κρύβονται σε ντουλάπια και ρούχα- Δείτε πως να τα διώξετε

3. Ψεκάζουμε προληπτικά με σπιτικά υλικά
Για την προληπτική προστασία των φυτών του κήπου μας από τα έντομα του θρίπα, μπορούμε να ψεκάζουμε κάθε δύο βδομάδες με αυτοσχέδιο διάλυμα που φτιάχνουμε ανακατεύοντας 1 κουταλιά της σούπας τριμμένο πράσινο σαπούνι σε ένα λίτρο νερό.
Η συγκεκριμένη μέθοδος αξιοποίησης σπιτικών υλικών για την προστασία των φυτών δεν έχει ικανοποιητικό αποτέλεσμα σε περιπτώσεις έντονης προσβολής από θρίπα.
Έντομα στις γλάστρες: Φωτογραφίες και πως να τα διώξετε
Κι ένα μυστικό για τον θρίπα
Οι θρίπες προκαλούν προβλήματα στα φυτά και με έναν έμμεσο τρόπο καθώς αποτελούν φορείς ιώσεων. Συγκεκριμένα, σύμφωνα με το www.mistikakipou.gr μεταφέρουν ασθένειες ιώσεων από το ένα φυτό στο άλλο, με αποτέλεσμα να δημιουργούν σημαντικές ζημιές στα κηπευτικά και στα καλλωπιστικά φυτά μας.