Με οικολογικά υλικά που δεν λείπουν από κανένα σπίτι, μπορείτε να διώξετε μια για πάντα μακριά τα μυρμήγκια απο το σπίτι σας
Τα έντομα στο σπίτι είναι μία αρκετά δυσάρεστη κατάσταση, ειδικά αν σας έχουν επισκεφτεί μικρά ενοχλητικά μυρμήγκια που ολοένα και πολλαπλασιάζονται. Με αυτούς τους 6 φυσικούς τρόπους θα τα εξοντώσετε οριστικά και θα απαλλαγείτε από το πρόβλημα.
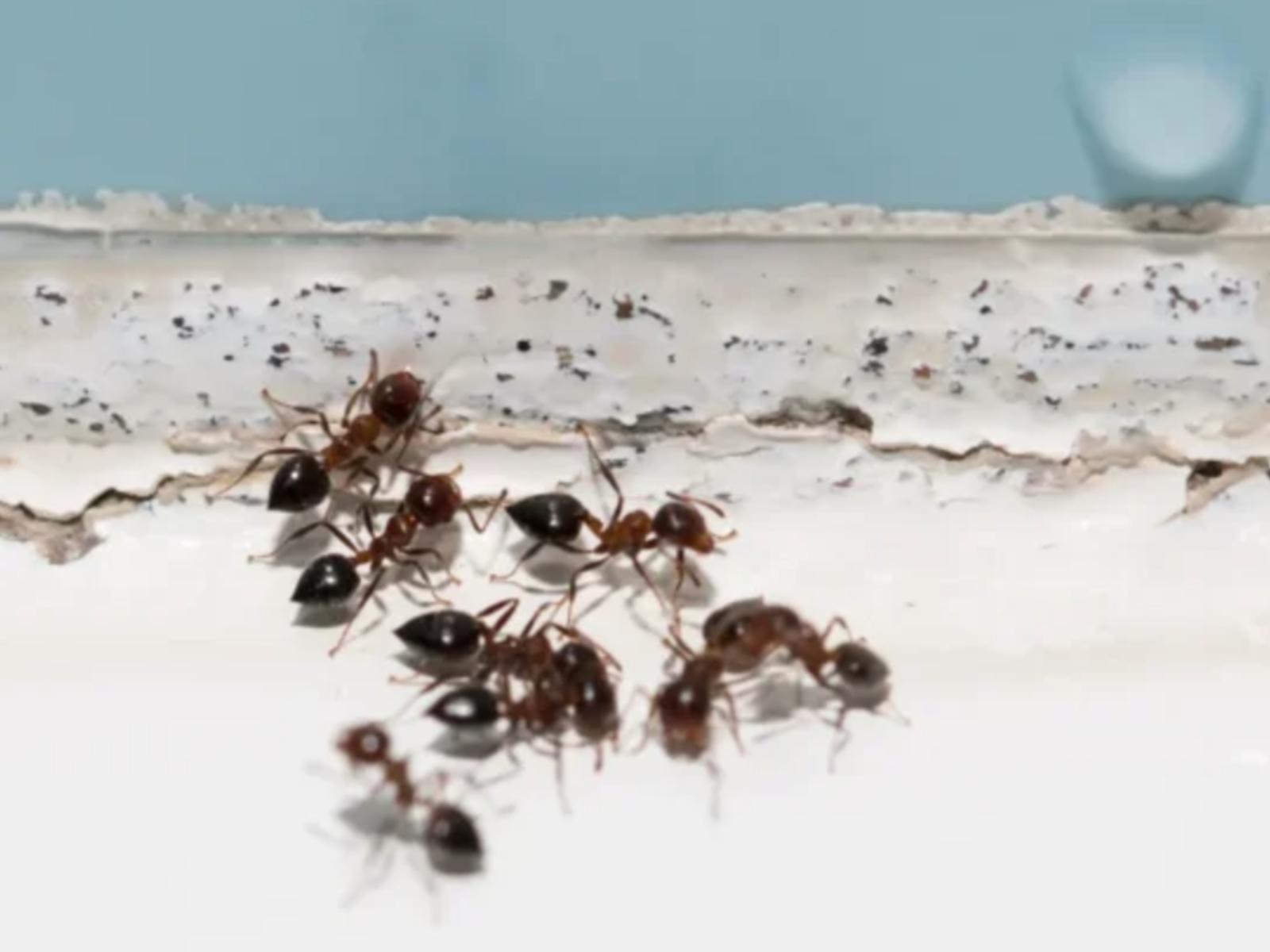
Τα μυρμήγκια είναι ένα από τα έντομα που συνηθίζουν να επισκέπτονται συχνά τα σπίτια μας κάθε εποχή του χρόνου. Είναι τόσο μικρά και ενοχλητικά που πραγματικά, μόλις εντοπίσουμε το πρώτο, τρέμουμε και στην ιδέα ότι μπορεί να ακολουθήσουν κι άλλα.

Πόσα εντομοαπωθητικά έχουμε δοκιμάσει χωρίς κανένα αποτέλεσμα, φτάνοντας στα όρια της απόγνωσης και της απελπισίας; Τείνουν να εισχωρούν στο σπίτι μας ακόμη κι από την πιο μικρή χαραμάδα, γεγονός που δυσχεραίνει αρκετά την αποτελεσματική εξόντωση τους.
Μαύρη Ασιατική Κατσαρίδα : Πόσο επικίνδυνη είναι για τον άνθρωπο- Ο Αποτελεσματικός τρόπος για να την εξοντώσετε
Ωστόσο, δεν χρειάζεται να πανικοβάλλεστε, καθώς με λίγα μόνο υλικά που δεν λείπουν από κανένα σπίτι, μπορείτε να τα εξολοθρεύσετε μια για πάντα. Αφοπλιστείτε με όρεξη και ψυχραιμία και ετοιμαστείτε να διώξετε τους μικροσκοπικούς ανεπιθύμητους επισκέπτες σας. Διαβάστε παρακάτω:
Ξύδι και Νερό
Ο πιο εύκολος αλλά άκρως αποτελεσματικός τρόπος να απαλλαγείτε μια και καλή από τα μυρμήγκια, είναι το να φτιάξετε ένα μείγμα με νερό και ξύδι. Το ξύδι έχει τόσο έντονη μυρωδιά που όχι μόνο απωθεί τα μυρμήγκια, αλλά είναι ικανό να τα κρατήσει μακριά μια για πάντα.

Βάλτε μισή ποσότητα ξύδι και μισή νερό σε ένα σπρέι ψεκασμού και ψεκάστε τις περιοχές όπου έχετε εντοπίσει μυρμήγκια. Επαναλάβετε την διαδικασία καθημερινά, μέχρι να εξαφανιστούν οριστικά .
Πιπέρι ή Κανέλα
Όσο κι αν σας κάνει εντύπωση, το πιπέρι και η κανέλα είναι ακριβώς ό,τι χρειάζεστε για την απομάκρυνση των μυρμηγκιών από το σπίτι σας. Λειτουργούν ως φυσικά ερεθιστικά, με αποτέλεσμα να κρατούν μακριά τα μικροσκοπικά αυτά έντομα.
Μυρμήγκια ξύλου : Αυτά είναι τα σημεία που κάνουν φωλιές -Πως να τα καταπολεμήσετε οριστικά
Ρίξτε σκόνη κανέλας ή πιπέρι γύρω από τα σημεία που βλέπετε μυρμήγκια, καθώς και στις εισόδους του σπιτιού σας. Αν διαπιστώσετε πως με την πρώτη εφαρμογή δεν έχετε τα επιθυμητά αποτελέσματα, επαναλάβετε έως ότου, τα διώξετε οριστικά.

Χυμός λεμονιού
Το λεμόνι έχει τόσο έντονη μυρωδιά που απωθεί τα μυρμήγκια, με αποτέλεσμα να μην θέλουν να πλησιάσουν στην περιοχή. Η διαδικασία είναι τόσο εύκολη που αξίζει να την δοκιμάσετε!! Ανακατέψτε λίγο χυμό λεμονιού με νερό και ψεκάστε τις περιοχές που βλέπετε τα μυρμήγκια. Πιστέψτε μας, δεν θα ξαναεμφανιστεί το παραμικρό μυρμήγκι!!
Το άκαρι της ψώρας : Επικίνδυνα συμπτώματα και τρόποι μετάδοσης στον άνθρωπο-Δείτε πως θα το εξολοθρεύσετε αποτελεσματικά
Υγρό σαπουνιού
Το υγρό σαπούνι μπορεί να αποτρέψει τα μυρμήγκια από το να εισέρχονται στον χώρο σας, καθώς έχει την τάση να τα εξολοθρεύει. Αναμείξτε το σαπούνι με το νερό και ψεκάστε κάθε περιοχή και κάθε χαραμάδα από την οποία μπορούν να εισέλθουν.

Σκόνη τάλκ
Εννοείται πως το talk είναι μία από τις πιο διαδεδομένες μεθόδους για απομάκρυνση εντόμων. Στην περίπτωση των μυρμηγκιών δε, τα απωθεί τόσο πολύ, που δεν πρόκειται να πλησιάσουν ξανά στον χώρο σας. Ρίξτε αρκετή ποσότητα talk στις περιοχές που τα έχετε εντοπίσει και αναμένετε τα αποτελέσματα. Θα διαπιστώσετε πως θα εξαφανιστούν αμέσως, καθώς τα μυρμήγκια δεν αντέχουν την υφή της σκόνης.
Φλούδες πορτοκαλιού
Την επόμενη φορά που θα καθαρίσετε πορτοκάλια, φροντίστε να κρατήσετε τις φλούδες, αφού πιστέψτε μας, θα σας φανούν πολύ χρήσιμες!!! Το ίδιο ασφαλώς ισχύει για όλα τα εσπεριδοειδή, καθώς έχουν φυσικές ιδιότητες που απομακρύνουν τα μυρμήγκια λόγω των αιθέριων ελαίων τους.

Το μόνο που έχετε να κάνετε είναι να τοποθετήσετε τις φλούδες πορτοκαλιού στις περιοχές που εμφανίζονται τα μυρμήγκια. Η μυρωδιά των εσπεριδοειδών λειτουργεί ως αποτρεπτικό για τα μυρμήγκια, κι έτσι θα γλιτώσετε μια για πάντα.
Διαβάστε όλα τα έξυπνα κόλπα στο Daddy-Cool.gr
Απαγορεύεται η αναδημοσίευση του άρθρου χωρίς την γραπτή άδεια από τον εκδότη. Με την επιφύλαξη παντός νομίμου δικαιώματoς κι απαίτησης.