ΣΠΙΤΙ 08.04.26 Συσσωρευμένη βρωμιά στους τοίχους τα πλακάκια και τους αρμούς: Το κόλπο της γιαγιάς για να τα κάνετε να αστράφτουν πριν το Πάσχα
ΟΙΚΟΓΕΝΕΙΑ 03.03.26 Το trend με τον τοίχο στο TikTok που θα σε κάνει να μην έχεις νεύρα στο Πι και Φι
ΣΠΙΤΙ 06.08.25 Τα κόλπα που με έμαθε η μαμά μου για να καθαρίζω τους τοίχους σε χρόνο μηδέν χωρίς να τους βάψω
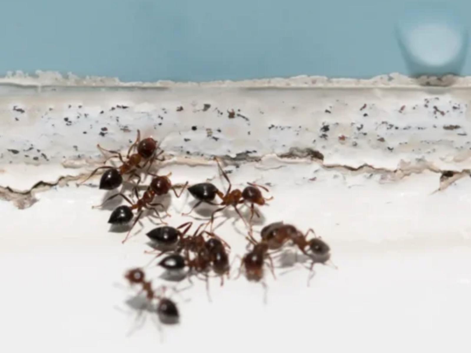
ΕΞΥΠΝΑ ΚΟΛΠΑ 04.12.24 Μυρμήγκια στο εσωτερικό των τοίχων: Πως να τα εντοπίσετε και να τα εξολοθρεύσετε αποτελεσματικά
ΣΠΙΤΙ 03.06.24 Κίτρινα τρεξίματα στον τοίχο: Για ποιον λόγο συμβαίνει και πως θα τα καθαρίσετε ανάλογα την αιτία
ΣΠΙΤΙ 09.05.23 Η μαγική πάστα που θα καθαρίσει τους τοίχους από Μούχλα, δαχτυλιές, μαρκαδόρους και κιτρινίλες
ΕΞΥΠΝΑ ΚΟΛΠΑ 18.09.14 Ο πιο απλος τροπος για να εξαφανισετε απο τους τοιχους τα ενοχλητικά σημάδια από καρφιά